Vijesti
PREDMET "PRISLUŠKIVANJE": Ranko Debevec i Osman Mehmedagić odbili se izjasniti o krivici po optužbama Tužilaštva BiH
Prije 4 min0
Vijesti
PREDMET "PRISLUŠKIVANJE": Ranko Debevec i Osman Mehmedagić odbili se izjasniti o krivici po optužbama Tužilaštva BiH
Prije 4 min0
Vijesti
CARINSKA UPRAVA HRVATSKE UPOZORAVA PUTNIKE IZ BiH: Uhvate li vas u pokušaju unošenja salame, paštete, mlijeka, sira... kazne su...
Prije 11 min0
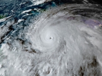
Svijet
JEDAN OD NAJSNAŽNIJIH URAGANA IKADA IDE PREMA KUBI: Pogledajte snimak iz "srca oluje" (VIDEO)
Prije 14 min0
Ekonomija
TEŠKA SITUACIJA U ELEKTROPRIVREDI BiH: Umjesto predviđene dobiti, očekuje se ogroman gubitak
Prije 16 min0
IZA KULISA U DOHI: Stvara se politički, vojni i ekonomski savez Egipta, Saudijske Arabije, Turske i Pakistana
15. Sep. 20250
HITNI SASTANAK NA VRHU U DOHI: Reakcija na izraelski napad bit će žestoka
14. Sep. 20250
TRUMP VEČERAO S KATARSKIM PREMIJEROM: Sve više nezadovoljan Netanyahuom
13. Sep. 20250
HOĆE LI SE SAUDIJSKA ARABIJA PROBUDITI: Prijestolonasljednik pozvao na akciju nakon izraelskog napada na Dohu
10. Sep. 20250
SVIJET OSUĐUJE IZRAELSKI NAPAD NA DOHU: "Ozbiljno upozorenje za regiju i međunarodnu zajednicu”
09. Sep. 20250
BIJELA KUĆA OBJAVILA: SAD upozorio Katar na izraelski napad
09. Sep. 20251
Vijesti
MUP HRVATSKE UPOZORIO: Samo u ovim slučajevima državljanin BiH može na traku EU, u suprotnom kazne za nepoštivanje znakova...
27. Okt. 20250
Politika
MLADEN IVANIĆ POTOPIO SVE DODIKOVE NADE: "Dramatičnog zaokreta Amerikanaca prema RS-u, kako se SNSD nada, neće biti" (VIDEO)
27. Okt. 20250
Vijesti
NAKON REGISTRACIJE U EES SISTEMU NE MORATE VIŠE IZLAZITI IZ VOZILA: Provjerite imate li pravo na olakšice za ulazak u Hrvatsku...
27. Okt. 20250
Vijesti
POTVRĐENO IZ POUZDANIH IZVORA: Christian Schmidt odlazi iz BiH!
Prije 21h1
Politika
LICEMJERNOST ZA DJELU: Zašto nije intonirana himna BiH, već Hrvatske u Gornjem Vakufu? (VIDEO)
25. Okt. 20255
Vijesti
SAZNAJEMO: Opasne namjere Dragana Čovića, lider HDZ-a ovoga puta ide do kraja...
28. Okt. 20255
Politika
ZLATKO MILETIĆ EKSKLUZIVNO ZA "SB": HDZ BiH ide sa novim planom, pokušat će da se hrvatski i bošnjački član Predsjedništva bira u Domu naroda FBiH
15. Okt. 20254
Politika
IZETBEGOVIĆ, SAMOUVJERENO: "Nije dobro čovjeka poput mene isključiti iz politike"
Prije 19h4
trenutak ...